مدرج (مطار)

مَدْرَج المطار إنگليزية: Runway واختصاره (RWY) عبارة عن مساحة خاصة تسلكها الطائرات من أجل الهبوط والإقلاع في المطار، ومن الممكن أن يكون من البيوتمين أو الخرسانة أو الأسفلت أو العشب أو أرضية ترابية كأرضية ملاعب التنس كما في كثير من الأحيان في الجزر الصغيرة أو من الحصى.
الاتجاه والأبعاد
يتم ترقيم المدارج عادة حسب الاتجاه المغناطيسي لها، (إشارة الإقلاع تكون للأمام). فرقم المدرج يكون الرقم الكلي لأقرب كسر عشري للسمت المغناطيسي لخط وسط المدرج، وتقاس باتجاه عقارب الساعة ابتداءًا من الشمال المغناطيسي. وكل رقم يلفظ بشكل واضح ومنفصل لسهولة التمييز بالاتصالات الإذاعية. فعلى سبيل المثال يلفظ مدرج ثلاثة ست للدلالة على اتجاه 360 درجة عن الشمال المغناطيسي، المدرج تسعة يستخدم للمدرج 94 درجة (قريبة للشمال المغناطيسي)، والمدرج واحد سبعة للمدرج 168 درجة (16.8 تحول 17): 36 ~= 360/10, 9 ~= 94/10, 17 ~= 168/10.
يستخدم المدرج من كلا الاتجاهين الأمامي والخلفي، لذا سيكون له رقمين متعاكسين ب 180 درجة عن بعضهما البعض. ومن ثم يكون فالمدرج واحد صفر (°100) سيكون رقمه اثنان ثمانية (°280) عند استخدامه بالاتجاه المعاكس، والمدرج واحد ثمانية (°180) سيكون المدرج ثلاثة ستة (°360). ملحوظة: المدارج الموجودة بأمريكا الشمالية والتي تقع داخل المجال الجوي الكندي ترقَّم حسب الشمال الحقيقي وذلك بسبب وجود الشمال القطبي المغناطيسي بالقرب منها.
تعتمد المنظمة الدولية للطيران المدني (أيكاو) وبعض قواعد الجيش الأمريكي مثل قاعدة ادواردز الجوية على نظام إضافة الصفر الذي يأتي قبل الرقم فيقرأ الرقم كالتالي: مدرج صفر اثنان (020) أو مدرج صفر واحد (010) يمين وذلك في حالة المدرج الذي أقل من 100°. ولكن أغلب المطارات الأمريكية وبعض القواعد العسكرية مثل مطار كايرنز العسكري، يقرأ المدرج الذي أقل من 100° كرقم منفرد، فعلى سبيل المثال: مدرج تسعة (090) أو مدرج ثمانية (080). هذا الوضع الأمريكي الشاذ قد يؤدي إلى تضارب بالأحاديث ما بين الطيارون الأمريكان وتحكم البرج لمطارات الدول الأخرى. وإن اعتادت المطارات الكندية على فهم مايقوله الطيار الأمريكي عند قوله عن مدرج 04 بأن يقول مدرج 4. وقد ينبه مستخدمو الطيران التشبيهي على أن الاستخدام الأمريكي قد يطبق على جميع مطارات العالم عند استخدامهم محاكاة الطيران.
وبسبب انحراف القطب الشمالي قليلا مع الوقت خلال سطح الأرض، فإن مسمى المدارج يتغير تبعا لذلك وإن ظل المدرج كما هو لايتغير. وحسب موقع المطار ومعدل كمية الإنحراف الحاصلة، فمن الضروري خلال زمن معين تعديل مسمى (رقم) المدرج. وبما أن ترقيم المدارج حسب الوجهة المقربة ل10° فالتغيير يختلف من مدرج لآخر. فعلى سبيل المثال: وجهة المدرج هي 276°، بالتالي سيكون ترقيم المدرج 28. فإذا تغير المجال 5 درجات زيادة أي °281 ولكن يبقى الترقيم كما هو أي 28. وبجانب آخر مدرج وجهته 284° (مدرج 28)، وتغير المجال درجتين زيادة إلى 286°، فإن المدرج سيتغير بالتالي إلى (مدرج 29). وبما أن الإنحراف يكون بطيئا جدا، فإن تغيير مسميات الدارج لايتم بسهولة، وهو بالعادة غير مرغوب به، لأنه سيصاحبه تغيير خريطة الملاحة الجوية عالميا، والوثائق المتعلقة بذلك.
عند حصول أكثر من مدرج يكونان بإتجاه واحد، فإن كل مدرج يعرف بحرف (L,C,R) وتعني يمين ويسار ووسط، مع الرقم، ومثال على ذلك: مدرج واحد خمسة يسار (15L) والمدرج واحد خمسة وسط (15C)، والمدرج واحد خمسة يمين (15R). عند تغيير اتجاه نزول الطائرة على المدرج فإن اتجاه المدرج سيتغير تبعا لذلك، مثال: مدرج صفر اثنين يسار (02L) سيتغير إلى مدرج اثنين صفر يمين (20R) عندما تهبط الطائرة بالطرف الآخر من المدرج، وذلك بإضافة 180° على الرقم الأصلي (18) عند النزول بإتجاه معاكس.
بالمطارات الضخمة والتي تحتوي على أكثر من ثلاث مدارج متوازية (مثال في الولايات المتحدة: مطار لوس أنجلوس ومطار ديترويت ومطار هارتسفيلد جاكسون ومطار دنفر الدولي)، فبعض تعريفات المدارج قد حوِّرَت عشر درجات وذلك لمنع أي التباس للمدارج المتوازية التي عددها أكثر من ثلاث. فمثلا، بمطار لوس أنجلوس يكون نظام المدارج كالتالي: ست يمين ،ست يسار، سبعة يمين وسبعة يسار مع أن جميع تلك المدارج متوازية تماما (حوالي 69°). بمطار دالاس فورت ورث الدولي، هناك خمسة مدارج متوازية تماما ولكن الترقيم يكون كالتالي: 17L, 17C, 17R, 18L, و 18R.
لكي تحصل للطائرات على أفضل اقلاع وهبوط ولسرعة جوية مريحة هو أن يكون باتجاه الرياح. لذا فالمطارات الكبيرة تكون مدارجها على عدة اتجاهات بحيث يتم اختيار اقربهم لإتجاه الهواء. أما المطارات ذات المدرج الوحيد، فيتم بناءه بحيث يكون اتجاهه مع اتجاه الرياح السائدة.
تتراوح أبعاد المدارج بحيث يبدأ طولها من 245 m (804 ft) وعرضها 8 m (26 ft) للمطارات الصغيرة ذات الطيران العام (general aviation) إلى مدارج ذات طول 5،500 m (18،045 ft) وعرضها 80 m (262 ft) للمطارات الدولية التي تستوعب الطائرات النفاثة المدنية الضخمة.
تحديد المدارج وتقاربها
يصنف مدرجين بنيا بنفس الإتجاه بالمزدوجة أو المتوازية حسب المنطقة الفاصلة بينهما. بعض الدول لديها قوانين طيران يلزم باستخدام مدرج واحد في ظروف معينة (كالظروف الجوية السيئة) عندما يكون المدرجين متقاربين لبعضهما بشكل قوي.
المسافات المصرح بها
- TORA[1]
- Takeoff Run Available - تعني مدى الإقلاع الممكن، وهو طول المدرج المصرح به والذي تستطيع الطائرة أن تجتازه إقلاعا بسهولة ممكنة[2].
- TODA[1]
- Takeoff Distance Available - تعني مسافة الإقلاع الممكن، وهو طول مدى الإقلاع الممكن بالإضافة إلى طول مدى الخلوص إنگليزية: clearway، إن كان هناك مدى خلوص[2]. (يجب أن يكون طول مدى الخلوص المسموح به داخل حدود المطار، حسب لوائح وكالتي الطيران المدني الأمريكية (FAA) والأوروبية (JAR) ف TODA تعادل 1.5 من TORA)..ب
- ASDA[1]
- Accelerate Stop Distance Available - تعني مسافة التوقف المتسارع الممكن، وهو مسافة الإقلاع الممكن بالإضافة إلى طول مدى التوقف إنگليزية: stopway إذا أمكن توفره.
- LDA[1]
- Landing Distance Available - تعني مسافة الهبوط الممكن، وهو طول المدرج المتاح والممكن لهبوط الطائرة بالمدى الأرضي.
أجزاء المدرج
- نطاق أمان المدرج إنگليزية: Runway Safety Area وهي المنطقة التي تكون واضحة ومعشبة حول المدرج المعبد. وتكون خالية من أي موانع تعيق الطيران أو الدوران الأرضي للطائرة. ويعلم على العشب ب بخاريط بيضاء أو جملونات.
- المدرج إنگليزية: Runway هو السطح من الحافة إلى الحافة، بحيث تعرض وبشكل واضح العلامات والأرقام وخطوط المنتصف للحواف، وليست نطاق التجاوز لكلا النهايتين.
- الحواشي النفخ إنگليزية: Blast pads وتعرف أيضا بمنطقة التجاوز أو طريق التوقف، وتشيد بمقدمة بداية المدرج حيث يخرج النفخ النفاث للطائرات الكبيرة عند ارتفاعها بالإقلاع كي يمنع تآكل الأرض فيخرب المدرج في النهاية. تشيد أيضا منطقة التجاوز في نهاية المدرج كمساحة طوارئ لإبطاء الطائرات التي تهبط على المدرج الخطأ، أو لإبطاء الطائرات التي ألغت إقلاعها أو الإقلاع الخاطئ. وحواشي النفخ عادة ليست بقوة البنية التحتية مثل المدرج الرئيسي وتعلم عادة بخطوط صفراء على شكل حرف V اللاتيني. ولا يسمح للطائرات بالإقلاع أو الهبوط أو المرور بها إلا في حالات الطوارئ.
- Displaced thresholds may be used for taxiing, takeoff, and landing rollout, but not for touchdown. A displaced threshold often exists because obstacles just before the runway, runway strength, or noise restrictions may make the beginning section of runway unsuitable for landings. It is marked with white paint arrows that lead up to the beginning of the landing portion of the runway.
طول المدرج

على الرغم من أن طول المدرج قد حاز على الاهتمام الأكاديمي، من حيث قابليتها للاستخدام في خطوط شركات الطيران، فالمدرج الذي لايقل طوله عن 6،000 ft (1،800 m) فهو مهيأ للطائرات ذات الحمولة أقل من 200،000 lb (91،000 kg). أما الطائرات ذات البدن الواسع مثل (البوينغ: 747، 767، 777، 787; والإيرباص: A310، A330، A340، A350 (لا تزال في طور التصميم)، A380; والماكدونال دوغلاس DC-10 أو MD-11 ولوكهيد L-1011 TriStar ترايستار) والتي تحتاج عادة إلى مدرج لايقل طوله عن 8،000 ft (2،400 m) عند مستوى سطح البحر، وأحيانا أكثر في حالة المطارات المرتفعة. وتلك الطائرات تحتاج بالرحلات الدولية إلى مدرج للهبوط لايقل طوله 10،000 ft (3،000 m) ولمدى إقلاع طوله 13،000 ft (4،000 m)+.
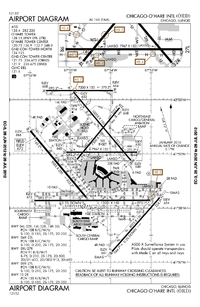
يعتبر المدى 10،000 ft (3،000 m) مناسب جدا عند مستوى سطح البحر، لكي يوائم جميع أنواع الطائرات. فعلى سبيل المثال: عندما تهبط طائرات في مطار أوهير بشيكاغو بنفس الوقت على المدارج 22R و27L أو الموازي 27R، يكون من المعتاد للقادمين من الشرق الأقصى توجيههم إلى 22R وطوله 7،500 ft (2،300 m) أو 27R وطوله 8،000 ft (2،400 m). وقد يعطى لهم مدرج 27L عند الطلب فطوله 10،000 ft (3،000 m) فهو بالتأكيد يستوعب ذلك وإن كان يتأخر بعض المرات.
وبشكل عام كلما ارتفع المطار عن سطح البحر فإنه يحتاج لمدرج طائرة أطول منه عند مستوى البحر، وذلك بسبب قلة كثافة الهواء كلما ارتفعنا، مما يضعف كمية الرفع وقدرة المحرك التي تحتاجها الطائرة. مثال على ذلك، مطار جون كينيدي يكون بمستوى سطح البحر ومطار دنفر يرتفع 5,000 قدم عن سطح الأرض، لذلك فنفس الطائرة وبنفس الحمولة ستحتاج في مطار دنفر لمدرج أطول منه عن مطار نيويورك وبجو أكثر سخونة وكثافة. معظم الطائرات المدنية تحتوي على جداول من المصنع تبين التضبيطات المطلوبة لدرجة الحرارة المعطاة.
البنية
بنية المدارج صلبة وقوية جدا، وعادة تتألف من الأسفلت أو ألواح خرسانية.
المنارات الضوئية
تكون في اتجاه واحد في شكل خط طويل من بعيد، تستعمل لكي تتم رؤية المدرج بسهولة أثناء الليل، أو عندما تكون الأحوال الجوية سيئة مثل الأمطار أو الضباب وأيضا تقوم بمساعدة بصرية عند الهبوط (مؤشر نهج المسار). إضافة إلى ذلك فإن تنصيبها يلزم نظام إذاعي للمنارات لأجهزة التعقب الآلية المدمجة في طائرات النقل (نظام الهبوط).
تصميم المدارج
تستخدم معظم المدارج لعمليتي الهبوط والإقلاع. وهذا يعني تزامن تنظيم وسلاسة حركة الطائرات. عندما يتلقى المطار حركة مرور كثيفة، يتم بناء مدارج في مجموعات من إثنين، وتكون متوازية فيما بينها، وذلك لفصل حركتي الإقلاع والهبوط. يمكن لكل مدرج أن تقع فيه هاتان الحركتان دقيقة ونصف تقريبا، وقد يكون أكثر من ذلك بسبب اظطرابات قد تحدث للطائرة عند الإقلاع. تكون المدارج عادة موجهة لاتجاه الريح السائدة، ذلك لأن تيارات الهواء تكون في صالح الطائرات وتساعد على الإقلاع، إضافة إلى التحسين في عملية الكبح عند الهبوط. وتكون الطائرات دائما عكس الرياح.
انظر أيضاً
![]() |
بوابة الطـيـران تصـفح مـقـالات المعرفة المـهـتـمـة بالـطـيـران. |
المصادر
- ^ أ ب ت ث "Order JO 7340.1Z: Contractions" (PDF). FAA. March 15, 2007.
- ^ أ ب Airplanes: Turbine engine powered: Takeoff limitations, http://rgl.faa.gov/Regulatory_and_Guidance_Library/rgFAR.nsf/0/07C875546A87CBCD852566EF006B2242?OpenDocument, retrieved on 2009-10-04