حدود مصر


الحدود المصرية، هي الحدود البرية والبحرية لجمهورية مصر العربية. ويحدها من الشمال البحر الأبيض المتوسط، ومن الغرب ليبيا، ومن الجنوب السودان، ومن الشرق البحر الأحمر ومن الشمال الشرقي قطاع غزة وإسرائيل.
الحدود البحرية
النص التالي لقرار رئيس الجمهورية حول ترسيم الحدود البحرية المصرية[1] والمودعة في الأمم المتحدة في هذا الرابط:
قرار رئيس جمهورية مصر العربية رقم 27 لسنة 1990
بشأن خطوط الأساس التي تقاس منها المناطق البحرية لجمهورية مصر العربية
رئيس الجمهورية:
بعد الاطلاع على الدستور؛ وعلى المرسوم الصادر في 15 يناير سنة 1951 بشأن المياه الإقليمية لجمهورية مصر العربية والقرارات المعدلة له؛
وعلى قرار رئيس الجمهورية رقم 145 لسنة 1983 بشأن الموافقة على اتفاقية قانون البحار التي وقعت عليها مصر في منتيجوبي بجمايكا لتاريخ 10/12/1982، وبناء على ما عرضه نائب رئيس مجلس الوزراء ووزير الخارجية؛
قرر:
(المادة الأولى)
يبدأ قياس المناطق البحرية الخاضعة لسيادة وولاية جمهورية مصر العربية بما فيها بحرها الإقليمي من خطوط الأساس المستقيمة التي تصل بين مجموعة النقاط المحددة بالإحداثيات الواردة في المادة الثانية.
(المادة الثانية)
الإحداثيات المشار إليها بالمادة الأولى وفقاً للسند الجيوديسي (مسقط ماركيتور) هي:
1- في البحر المتوسط وفقا للمرفق رقم 1 الذي يعتبر جزءاً لا يتجزأ من هذا القرار.
2- في البحر الأحمر وفقاً للمرفق رقم 2 الذي يعتبر جزءاً لا يتجزأ من هذا القرار.
(المادة الثالثة)
تعلن قوائم الإحداثيات الواردة بالمادة الثانية من هذا القرار وفقاً للقواعد المعمول بها في هذا الصدد، ويخطر بها الأمين العام للأمم المتحدة.
(المادة الرابعة)
بنشر هذا القرار في الجريدة الرسمية.
صدر برئاسة الجمهورية في 12 جمادى الآخرة سنة 1410 (9 يناير سنة 1990)
حسني مبارك»
| م | خط العرض (شمال) | خط الطول (شرق) |
|---|---|---|
| 1 | 30 ° 40 َ 31 ° | 56 ° 08 َ 25 ° |
| 2 | 24 ° 34 َ 31 ° | 48 ° 10 َ 25 ° |
| 3 | 56 ° 30 َ 31 ° | 30 ° 14 َ 25 ° |
| 4 | 12 ً 30 َ 31 ° | 55 ° 19 َ 25 ° |
| 5 | 00 ً 38 َ 31 ° | 24 ° 53 َ 25 ° |
| 6 | 18 ً 36 َ 31 ° | 24 ° 14 َ 26 ° |
| 7 | 18 ً 31 َ 31 ° | 30 ° 38 َ 26 ° |
| 8 | 12 ً 27 َ 31 ° | 06 ° 59 َ 26 ° |
| 9 | 30 ً 24 َ 31 ° | 48 ° 03 َ 27 ° |
| 10 | 12 ً 22 َ 31 ° | 00 ° 21 َ 27 ° |
| 11 | 36 ً 12 َ 31 ° | 30 ° 28 َ 27 ° |
| 12 | 00 ً 12 َ 31 ° | 00 ° 38 َ 27 ° |
| 13 | 48 ً 14 َ 31 ° | 36 ° 51 َ 27 ° |
| 14 | 12 ً 06 َ 31 ° | 00 ° 55 َ 27 ° |
| 15 | 30 ً 05 َ 31 ° | 48 ° 25 َ 28 ° |
| 16 | 18 ً 03 َ 31 ° | 24 ° 35 َ 28 ° |
| 17 | 30 ً 58 َ 30 ° | 56 ° 49 َ 28 ° |
| 18 | 54 ً 54 َ 30 ° | 52 ° 54 َ 28 ° |
| 19 | 36 ً 50 َ 30 ° | 00 ً 00 َ 29 ° |
| 20 | 54 ً 59 َ 30 ° | 48 ً 23 َ 29 ° |
| 21 | 48 ً 01 َ 31 ° | 00 ً 31 َ 29 ° |
| 22 | 54 ً 08 َ 31 ° | 18 ً 47 َ 29 ° |
| 23 | 00 ً 12 َ 31 ° | 41 ً 51 َ 29 ° |
| 24 | 36 ً 12 َ 31 ° | 30 ً 52 َ 29 ° |
| 25 | 12 ً 19 ً 31 ° | 54 ً 02 َ 30 ° |
| 26 | 42 ً 21 َ 31 ° | 24 ً 06 َ 30 ° |
| 27 | 18 ً 30 َ 31 ° | 18 ً 21 َ 30 ° |
| 28 | 00 ً 30 َ 31 ° | 42 ً 22 َ 30 ° |
| 29 | 18 ً 27 َ 31 ° | 18 ً 28 َ 30 ° |
| 30 | 00 ً 36 َ 31 ° | 42 ً 01 َ 31 ° |
| 31 | 00 ً 36 َ 31 ° | 00 ً 07 َ 31 ° |
| 32 | 12 ً 35 َ 31 ° | 24 ً 11 َ 31 ° |
| 33 | 42 ً 33 َ 31 ° | 12 ً 16 َ 31 ° |
| 34 | 42 ً 26 َ 31 ° | 00 ً 26 َ 31 ° |
| 35 | 30 ً 29 َ 31 ° | 18 ً 45 َ 31 ° |
| 36 | 06 ً 32 َ 31 ° | 00 ً 52 َ 31 ° |
| 37 | 06 َ 32 َ 32 ° | 12 ً 54 َ 31 ° |
| 38 | 18 ً 30 َ 31 ° | 24 ً 57 َ 31 ° |
| 39 | 42 ً 20 َ 31 ° | 42 ً 06 َ 32 ° |
| 40 | 12 ً 18 َ 31 ° | 30 ً 20 َ 32 ° |
| 41 | 54 ً 03 َ 31 ° | 12 ً 34 َ 32 ° |
| 42 | 56 ً 08 َ 31 ° | 36 ً 55 َ 33 ° |
| 43 | 12 ً 13 َ 31 ° | 00 ً 04 َ 33 ° |
| 44 | 48 ً 13 َ 31 ° | 12 ً 06 َ 33 ° |
| 45 | 12 ً 14 َ 31 ° | 42 ً 08 َ 33 ° |
| 46 | 36 ً 13 َ 31 ° | 18 ً 13 َ 33 ° |
| 47 | 00 ً 12 َ 31 ° | 30 ً 20 َ 33 ° |
| 48 | 06 ً 11 َ 31 ° | 54 ً 23 َ 33 ° |
| 49 | 06 ً 07 َ 31 ° | 00 ً 32 َ 33 ° |
| 50 | 42 ً 07 َ 31 ° | 24 ً 43 َ 33 ° |
| 51 | 54 ً 11 َ 31 ° | 18 ً 58 َ 33 ° |
| 52 | 36 ً 14 َ 31 ° | 18 ً 05 َ 34 ° |
| 53 | 24 ً 19 َ 31 ° | 06 ً 13 َ 34 ° |
| م | خط العرض (شمال) | خط الطول (شرق) |
|---|---|---|
| 1 | 36 ً 29 َ 29 ° | 18 ً 54 َ 34 ° |
| 2 | 00 ً 29 َ 29 ° | 12 َ 52 َ 34 ° |
| 3 | 12 ً 26 َ 29 ° | 48 َ 50 َ 34 ° |
| 4 | 26 ً 22 َ 29 ° | 48 َ 49 َ 34 ° |
| 5 | 36 ً 22 َ 29 ° | 12 ً 48 َ 34 ° |
| 6 | 00 ً 22 َ 29 ° | 18 ً 47 َ 34 ° |
| 7 | 30 ً 20 ََ 29 ° | 36 ً 46 َ 34 ° |
| 8 | 18 ً 18 َ 29 ° | 24 ً 44 َ 34 ° |
| 9 | 24 ً 13 َ 29 ° | 30 ً 44 َ 34 ° |
| 10 | 48 ً 11 َ 29 ° | 00 ً 44 َ 34 ° |
| 11 | 24 ً 10 َ 29 ° | 48 ً 42 َ 34 ° |
| 12 | 36 ً 09 َ 29 ° | 30 ً 41 َ 34 ° |
| 13 | 12 ً 02 َ 29 ° | 12 ً 40 َ 34 ° |
| 14 | 42 ً 00 َ 29 ° | 03 ً 41 َ 34 ° |
| 15 | 18 ً 59 َ 28 ° | 10 ً 41 َ 24 ° |
| 16 | 30 ً 58 َ 28 ° | 48 ً 40 َ 34 ° |
| 17 | 10 ً 58 َ 28 ° | 56 ً 38 َ 34 ° |
| 18 | 42 ً 56 َ 28 ° | 12 ً 38 َ 34 ° |
| 19 | 54 ً 55 َ 28 ° | 42 ً 38 َ 34 ° |
| 20 | 42 ً 51 َ 28 ° | 48 ً 38 َ 34 ° |
| 21 | 48 ً 50 َ 28 ° | 42 ً 37 َ 34 ° |
| 22 | 03 ً 44 َ 28 ° | 36 ً 37 َ 34 ° |
| 23 | 24 ً 38 َ 28 ° | 48 ً 34 َ 34 ° |
| 24 | 28 ً 32 َ 28 ° | 03 ً 31 َ 34 ° |
| 25 | 00 ً 30 َ 28 ° | 24 ً 31 َ 34 ° |
| 26 | 24 ً 28 َ 28 ° | 30 ً 30 ً 34 ° |
| 27 | 20 ً 26 َ 28 ° | 48 ً 27 َ 34 ° |
| 28 | 54 ً 22 َ 28 ° | 18 ً 27 َ 34 ° |
| 29 | 24 ً 16 َ 28 ° | 36 ً24 َ 34 ° |
| 30 | 00 ً 10 َ 28 ° | 30 ً 27 َ 34 ° |
| 31 | 24 ً 03 َ 28 ° | 56 ً 26 َ 34 ° |
| 32 | 48 ً 58 َ 27 ° | 12 ً 26 َ 34 ° |
| 33 | 12 ً 43 َ 27 ° | 36 ً 15 َ 34 ° |
| 34 | 12ً ً 27 َ 27 ° | 18 ً 02 َ 34 ° |
| 35 | 24 ً 11 َ 27 ° | 24 ً 59 َ 33 ° |
| 36 | 06 ً 51 َ 26 ° | 18 ً 00 َ 34 ° |
| 37 | 42 ً 45 َ 26 ° | 54 ً 04 َ 34 ° |
| 38 | 42 ً 42 َ 26 ° | 36 ً 06 َ 34 ° |
| 39 | 36 ً 06 َ 26 ° | 24 ً 17 َ 34 ° |
| 40 | 30 ً 42 ً 25 ° | 24 ً 35 َ 34 ° |
| 41 | 42 ً 29 َ 25 ° | 00 ً 41 َ 34 ° |
| 42 | 48 ً 20 َ 25 ° | 54 ً 51 َ 35 ° |
| 43 | 18 ً 47 َ 24 ° | 00 ً 11 َ 35 ° |
| 44 | 18 ً 38 َ 24 ° | 36 ً 11 َ 35 ° |
| 45 | 00 ً 26 َ 24 ° | 00 ً 39 َ 35 ° |
| 46 | 18 ً 15 َ 24 ° | 00 ً 39 َ 35 ° |
| 47 | 42 ً 09 َ 24 ° | 00 ً 43 َ 35 ° |
| 48 | 12 ً 54 َ 23 ° | 36 ً 47 َ 35 ° |
| 49 | 48 ً 33 َ 23 ° | 36 ً 20 َ 36 ° |
| 50 | 12 ً 53 َ 22 ° | 06 ً 20 َ 36 ° |
| 51 | 30 ً 36 َ 22 ° | 12 ً 35 َ 36 ° |
| 52 | 18 ً 20 َ 22 ° | 24 ً 39 َ 36 ° |
| 53 | 12 ً 16 َ 22 ° | 54 ً 48 َ 36 ° |
| 54 | 48 ً 03 َ 22 ° | 54 ً 53 َ 36 ° |
| 55 | 30 ً 01 َ 22 ° | 48 ً 53 َ 36 ° |
| 56 | 00 ً 00 َ 22 ° | 54 ً 52 َ 36 ° |
الحدود مع قبرص
| النقطة | خط العرض (شمال) | خط الطول (شرق) |
|---|---|---|
| 1 | 00 ° 45 َ33 ° | 00 ° 05 َ 30 ° |
| 2 | 00 ° 34 َ33 ° | 30 ° 28 َ 30 ° |
| 3 | 40 ° 30 َ33 ° | 40 ° 36 َ 30 ° |
| 4 | 20 ° 21 َ33 ° | 00 ° 07 َ 31 ° |
| 5 | 30 ° 11 َ33 ° | 30 ° 36 َ 31 ° |
| 6 | 20 ° 07 َ33 ° | 20 ° 01 َ 32 ° |
| 7 | 40 ° 00 َ33 ° | 00 ° 31 َ 32 ° |
| 8 | 20 ° 53 َ32 ° | 20 ° 58 َ 32 ° |
الحدود مع اليونان
| إحداثيات الحدود البحرية المصرية اليونانية | ||
|---|---|---|
| خطوط الطول | خطوط العرض | A/A |
| 27-59-02-00 E | 33-53-05-00 N | A |
| 27-30-42-47 E | 33-41-56-41 N | B |
| 26-49-34-27 E | 33-35-24-09 N | C |
| 26-27-35-54 E | 33-30-26-24 N | D |
| 26-00-00-00 E | 33-24-56-14 N | E |
مصر تسحب قبولها للتحكيم أمام محكمة البحار

في 16 فبراير 2017، أودعت مصر وثيقة في الأمم المتحدة تفيد أنها تسحب قبولها للتحكيم أمام محكمة قانون البحار.
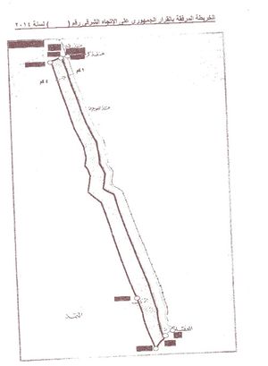
الحدود البحرية مع غزة وإسرائيل

1- الترسيم هو لمناطق النشاط البحري، وليست حدوداً.
2- الحدود البحرية هي امتداد للحدود البرية المصرية، على عكس ما يزعم البعض في الدولة المصرية.
3- الترسيم يمتد فقط لمسافة 20 كيلومتر، أي لا يمكن استخدامه كمبرر لإنكسار الحدود الإسرائيلية الجائر على الجانب المصري بعد العشرين كيلومتر.
4 - توقيع الرئيس ياسر عرفات مشروط كما يظهر في الخريطة.
الحدود البحرية بين جمهورية مصر العربية وكل من فلسطين (قطاع غزة) وإسرائيل تم ترسيمها في الاتفاق الانتقالي بشأن الضفة الغربية وقطاع غزة الذي وقعت عليه سبع دول في طابا في نوفمبر 1995. والجدير بالذكر أنه بالرغم من أن ذلك الاتفاق يرسـّم حدود مصر البحرية الشرقية، كإمتداد للحدود البرية، إلا أن الاتفاق لم يـُعرض حتى اليوم على مجلس الشعب المصري للتصديق عليه. ولاحقاً ظهرت خريطة أخرى تميل بزاوية معتبرة (عكس عقارب الساعة) لتعطي إسرائيل المزيد من المياه الاقتصادية على حساب مصر. ولم يُعلن عن أي اتفاقية بين مصر وإسرائيل ترسي هذا الحد، إلا أن وزارة البترول المصرية تعتمد خريطة حسب الخط المائل. وفي برنامج "آخر كلام" في مطلع نوفمبر 2012، حين سأل الإعلامي يسري فودة الأستاذ محمد شعيب رئيس الشركة المصرية القابضة للغاز الطبيعي (إيجاس) عن مصدر الخريطة، أجابه أنها من القوات المسلحة المصرية. وقد أقيل محمد شعيب من منصبه بعد ذلك بأيام قليلة. وفي يوم 17 نوفمبر 2012، قام نايل الشافعي بسؤال ممثل هيئة المساحة العسكرية المصرية عن مصدر إحداثيات الحدود، فأجاب أنه حصل على الإحداثيات من مؤتمر في لندن عقدته وزارة البنية التحتية الإسرائيلية - وكان ذلك السؤال والجواب في حضور أكثر من أربعين لواء جيش ومخابرات مصريين.
الحدود البرية
ترسيم المناطق الحدودية
مقالة مفصلة: القرار 444
في 29 نوفمبر 2014 أصدر الرئيس عبد الفتاح السيسي قرار جمهوري بتحديد المناطق الحدودية والقواعد المنظمة لها، بهدف تأمين الحدود الغربية والجنوبية والشرقية للبلاد. ويُستثنى القرار المنافذ الحدودية على كافة الاتجاهات الاستراتيجية، وكذلك مدن السلوم وسيدي براني وسيوة وحلايب ومدينة رفح (عدا خمسة كيلومترات غرب خط الحدود الدولية)، فضلًا عن عدد من الطرق المُبينة بنص القرار.
وقال السفير علاء يوسف، المتحدث الرسمي باِسم رئاسة الجمهورية، إنه سبق صدور عدة قرارات جمهورية لتأمين المناطق المتاخمة لحدود جمهورية مصر العربية، وآخرها القرار رقم 204 لسنة 2010، استنادًا إلى قانون الطوارئ وإعلان حالة الطوارئ، وهو القرار الذي تم إلغاؤه بموجب القرار الجديد.
وأكد أنه نظرًا لانتهاء حالة الطوارئ وإقرار دستور جديد للبلاد من خلال استفتاء شعبي عام؛ فقد كان لزامًا أن يصدر قرار جديد يتماشى مع التعديلات التي شملتها النصوص الدستورية الجديدة، فضلًا عن مواجهة المخاطر التي تستهدف المناطق المتاخمة للحدود المصرية. وأوضح المتحدث الرئاسي، أن القرار الجمهوري يخول للقوات المسلحة فقط مسؤولية حراسة الحدود السياسية للجمهورية مصر العربية، ويحدد القواعد الخاصة بالمناطق المحظور التواجد فيها بالنسبة للأفراد ووسائل الانتقال فوق أو تحت الأرض، وكذا القواعد الخاصة بتواجد أبناء المحافظات الحدودية في تلك المناطق، وقواعد تنظيم وجود الأجانب والمصريين غير المقيمين في المناطق المحظورة، على أن تقوم القوات المسلحة باتخاذ كافة الإجراءات والتدابير لمواجهة المخالفين لقواعد التواجد.
نص القرار:
(المادة الأولى)
يعمل بالقواعد المرفقة بهذا القرار لتأمين المناطق المتاخمة للحدود الغربية والجنوبية والشرقية لجمهورية مصر العربية على خريطة مقياس رسمها 1:2000000 على النحو التالي:
أولاً: المنطقة المتاخمة للحدود الغربية لجمهورية مصر العربية:
1- المنطقة الأولى الممنوعة (المهشرة باللون الأحمر):
أ- الحد الشمالي:
شندي - العلامة الدولية رقم (1).
ب- الحد الجنوبي:
من نو (528) حتى جبل عوينات غرباً حتى الحدود السياسية الغربية.
ج- الحد الشرقي:
الخط الوهمي الممتد من شندي-سيدي سليمان-بني القريضة-قارة الديب-قارة القرن-نقب عقربان-حطبة أم غزلان-حطبة اللبق-ن (182)-فسولة السنوسي-ن (305)-ن (365)-جبل العليم-جبل كامل- ن (528) على الحدود السياسية الجنوبية.
د- الحد الغربي:
الحدود السياسية الغربية لجمهورية مصر العربية وعلى إمتدادها من العلامة الدولية رقم (1) شمالاً حتى جبل العوينات جنوباً.
2- المنطقة الثانية المحظورة (المهشرة باللون الأخضر):
أ- الحد الشمالي:
الخط الوهمي الممتد من بوابة (15) سيدي براني-شندي.
ب- الحد الجنوبي:
الخط الوهمي الممتد من بئر مساحة-جبل كامل.
ج- الحد الشرقي:
الخط الوهمي الممتد من جنوب الهواية رقم (15)-بدر الحاج حمد-قور الدين-البحرين-شوشة الخادم-قور صوان-حيز البليدة-الحيز البحري-عين خليفة-بءلار أبو منقار-أبو بلاص-بئر مساحة.
د- الحد الغربي:
الخط الوهمي الممتد من شندي-سيدي سليمان-بئر القريضة-قارة الديب-قارة القرن-نقب عقربان-حطية أم غزلان-خطية اللبق- ن (182)-فسولة السنوسي - ن (305) - ن (365) - جبل العليم حتى جبل كامل.
ثانياً: المنطقة المتاخمة للحدود الجنوبية لجمهورية مصر العربية:
1- المنطقة الأولى الممنوعة (المهشرة باللون الأحمر):
أ- الحد الشمالي:
الخط الوهمي الممتد من نصب السيالة - جبل سري - بئر دبس - بئر مساحة وحتى جبل كامل.
ب- الحد الجنوبي:
الخط الوهمي الممتد من جبل منصوري حتى ن (528) على إمتداد خط عرض (22)°.
ج- الحد الشرقي:
نصيب السيالة - جبل منصوري.
د - الحد الغربي:
جبل كامل - ن (528).
2- المنطقة الثانية المحظورة (المهشرة باللون الأخضر):
أ- الحد الشمالي:
الخط الوهمي الممتد من شرم مدفع - جبل تقروب - جبل حلوة - العلاقي.
ب- الحد الجنوبي:
الخط الوهمي الممتد من رأس حدربة - جبل منصوري.
ج- الحد الشرقي:
من شرم مدفع حتى رأس حدربة على ساحل البحر الأحمر.
د- الحد الغربي:
الخط الوهمي الممتد من العلاقي - وادي حميد - نصب السيالة - جبل منصوري.
ثالثا: المنطقة المتاخمة للحدود الشرقية لجمهورية مصر العربية بالخريطة المرفقة بهذا القرار من العلامة الدولية رقم (1) حتى طابا بعمق (5) كم من الحدود السياسية الشرقية لجمهورية مصر العربية كالآتي:
1- المنطقة الممنوعة (المهشرة باللون الأحمر):
أ- المنطقة الممنوعة الأولى:
(1) الحد الشمالي:
ساحل البحر المتوسط من العلامة الدولية رقم (1) حتى أبو شنار ولمسافة (5) كم تقريباً.
(2) الحد الجنوبي:
من العلامة الدولية رقم (6) (أتلة الطايرة) حتى جوز أبو رعد ولمسافة (5) كم غرباً.
(3) الحد الشرقي:
خط الحدود الدولية الشرقية من العلامة رقم (1) شمالاً وحتى العلامة الدولية رقم (6) (أتلة الطايرة) جنوباً.
(4) الحد الغربي:
من أبو شنار حتى جوز أبو رعد جنوباً.
ب- المنطقة الممنوعة الثانية:
(1) الحد الشمالي:
من العلامة الدولية رقم (6) (أتلة الطايرة) حتى (1) كم غرباً.
(2) الحدود الجنوبية:
ساحل خليج العقبة من طابا حتى (1) كم غرباً.
(3) الحد الشرقي:
خط الحدود الدولية الشرقية من العلامة الدولية رقم (6) (أتلة الطايرة) ب(1) كم وجنوباً حتى غرب طابا ب(1) كم.
2- المنطقة الثانية المحظورة (المهشرة باللون الأخضر):
أ- الحد الشمالي:
من غرب العلامة الدولية رقم (6) (أتلة الطايرة) ب(1) كم ولمسافة (4) كم حتى جوز أبو رعد غرباً.
ب- الحد الجنوبي:
ساحل خليج العقبة من غرب طابا ب(1) كم ولمسافة (4) كم حتى بئر طابا.
ج- الحد الشرقي:
المنطقة من غرب العلامة الدولية رقم (6) (أتلة الطايرة) ب(1) كم وحتى غرب طابا ب(1) كم.
د- الحد الغربي:
الخط الوهمي الممتد من جوز أبو رعد - جبل حمرة حتى بئر طابا جنوباً.
(المادة الثانية):
يُستثنى من القواعد المرفقة بهذا القرار الآتي:
1- المنافذ الحدودية على كافة الاتجاهات الإستراتيجية.
2- المدن:
السلوم وسيدي براني وسيوة وحلايب ومدينة رفع عدا (5) كم غرب الحدود لدولية.
3- الطرق:
مرسى مطروح/السلوم ومرسى مطروح/سيوة وسيوة/الواحات البحرية وشلاتين/منفذ حدربة وأسوان/أرقين/الطريق الاسفلتي من منطقة حجر الشمس وحتى منفذ قسطل بطول (35) كم والطبان الخاص به بعرض (50) متر على جانبيه وامتداد الطريق الساحلي الدولي العريش/رفح حتى منفذ رفح البري بعرض (50) متر على الجانبين المتاخمين للطريق.
(المادة الثالثة):
يلغى القرار الجمهوري رقم (204) لسنة 2010 بشأن تحديد المناطق المتاخمة لحدود جمهورية مصر العربية والقواعد المنظمة لها.
القواعد المرفقة بقرار رئيس الجمهورية رقم ( ) لسنة 2014 بشأن: تحديد المناطق المتاخمة لحدود جمهورية مصر العربية والقواعد المنظمة لها
أولاً: تتولى القوات المسلحة وحدها مسئولي حراسة الحدود السياسية لجمهورية مصر العربية. ثانياً: القواعد الخاصة بالمنطقة الأولى (الممنوعة) المتاخمة للخدود الدولية السياسية على كافة الاتجاهات الاستراتيجية لجمهورية مصر العربية كالآتي:
1- يُمنع تواجد أي أفراد/عربات أو تحرك أي وسائل انتقال بكافة أنواعها وأشكالها (فوق/تحت الأرض) عدا أفراد وعربات ومعدات القوات المسلحة وذلك بالمنطقة المحددة بالخريطة المرفقة بهذا القرار.
2- يستثنى من ذلك الأفراد والعربات التابعة أو العاملة مع أجهزة الأمن والشرطة المدنية وذلك بموجب تصريح يصدر من هيئة عمليات القوات المسلحة على أن يحدد به الغرض من التواجد وتقتصر تحركات الأفراد والعربات المصرح لها بالتواجد في هذه المنطقة على الأماكن المحددة بالتصريح.
ثالثاً: القواعد الخاصة بالمنطقة الثانية (المحظورة) المتاخمة للحدود الدولية السياسية على كافة الاتجاهات الاستراتيجية لجمهورية مصر العربية كالآتي:
1- يحظر التواجد في المنطقة المحددة بالخريطة المرفقة بهذا القرار على غير أفراد القوات المسلحة والعاملين بالدولة الذين تقتضي أعمالهم الرسمية تواجدهم فيها والحائزين على تصريح من هيئة عمليات القوات المسلحة.
2- يسمح لأبناء محافظة مرسى مطروح المقيمون إقامة دائة هم أو أصولهم في دائرة تلك المحافظة قبل الخامس من يوليو سنة 1967 بالتواجد في مدينة السلوم عدا - الهضبة - دون حاجة إلى تصريح كتابي بذلك اكتفاءً بمراجعة تحقيق شخصيتهم.
3- يسمح لأبناء محافظات (البحر الأحمر - أسوان - الوادي الجديد) المقيمون فيها إقامة دائمة قبل 1/1/1987 هم أو أصولهم في دائرة المنطقة بالتواجد فيها دون حاجة إلى تصريح كتابي بذلك اكتفاءً بمراجعة تحقيق شخصيتهم.
4- يسمح بتواجد الأجانب والمصريين غير المقيمين في المنطقة المتاخمة المشار إليها بعد الصحول على تصريح من الجهة العسكرية سالفة الذكر.
رابعاً: تتخذ القوات المسلحة كافة الإجراءات والتدابير الازمة لمواجهة المخالفين للقواعد المرفقة بهذا القرار.
خامساً: تخصص كافة العربات ووسائل النقل وغيرها المحكومة بمصادرتها في الجرائم التي تقع بالمناطق المتاخمة لحدود جمهورية مصر العربية للجهات العسكرية التي تحدد بقرار من وزير الدفاع. »
الحدود مع ليبيا
مقالات مفصلة: العلاقات الليبية المصرية- الحدود الليبية المصرية

الحدود مع السعودية



مقالات مفصلة: العلاقات السعودية المصرية- حدود السعودية
في أول أسبوع من يناير 2011 ثم في 17 يوليو 2011،[3] وفي 9 يناير 2012، وصل للقاهرة الفريق مريع بن حسن الشهراني رئيس الهيئة العامة للمساحة بالسعودية في زيارة لمصر،[4] التي يترأس خلالها وفد السعودية في اللجنة المصرية السعودية لتعيين وترسيم الحدود البحرية بين مصر والسعودية بالبحر الأحمر.[5] وأجري الشهراني خلال زياراته مباحثات مع المسئولين المصريين لاستكمال اللقاءات التي تمت بين مصر والسعودية لترسيم الحدود البحرية بين البلدين. وتشمل عمليات الترسيم كل الحدود البحرية بين البلدين في المساحة الواقعة في البحر الأحمر، من خط عرض 22 جنوب مصر وحتي خليج العقبة، حتي تلتزم بها الدولتان في عمليات الصيد أو استخراج النفط.
الحدود مع السودان
مقالة مفصلة: العلاقات المصرية السودانية
الحدود مع إسرائيل
مقالة مفصلة: العلاقات المصرية الإسرائيلية
ترسيم الحدود

حسب البند الثاني من معاهدة السلام المصرية الإسرائيلية الموقعة في 26 مارس 1979، فإن الحدود الدائمة بين مصر وإسرائيل هي الحدود الدولية المعترف بها بين مصر وفلسطين تحت الانتداب كما هو واضح بالخريطة في الملحق الثاني وذلك دون المساس بما يتعلق بوضع قطاع غزة. ويقر الطرفان بأن هذه الحدود مصونة لا تمس ويتعهد كل منهما باحترام سلامة أراضي الطرف الأخر بما في ذلك مياهه الإقليمية ومجاله الجوي.
حوادث الحدود
وقد شهدت الحدود بين البلدين عشرات الحوادث والتي بدأت في سبتمبر 2004

من أهم الحوادث التي وقعت على الحدود المصرية الإسرائيلية[6] عندما أطلقت دبابة إسرائيلية قذيفة، أصابت منطقة تل السلطان برفح على الحدود المصرية وأعقبها، إطلاق نار عشوائى من الجنود الإسرائيليين تجاه مكان الانفجار الذى أحدثته القذيفة، فأصاب ثلاثة جنود مصريين، لقى اثنان منهم مصرعهما في الحال، وتوفى الثالث متأثراً بجراحه بعد وصوله إلى مستشفى مبارك العسكرى بالعريش. وآخرها هجوم إيلات أغسطس 2011، حيث قتل ضابط برتبة نقيبة وثلاث من جنود الأمن المركزي أثناء تتبع طائرة إسرائيلية للجناة في حادث الهجوم على إيلات بالقرب من الحدود المصرية.[7] [8]
الحدود مع قبرص
مقالة مفصلة: العلاقات القبرصية المصرية
في فبراير 2003، وقعت قبرص ومصر اتفاقية ترسيم المنطقة الاقتصادية الخالصة لكل منهما. والاتفاقية تمت بناء على المبدأ المقبول عالمياً في الخط الأوسط وبمراعاة معاهدة الأمم المتحدة لقانون البحار. وقد أصدرت مصر قانون نـُشر في الجريدة الرسمية، وبالتالى أصبح ساريا بين البلدين، وتضمن 8 نقاط إحداثية.[9]
وفي ديسمبر 2010، رسمت قبرص المنطقة الاقتصادية الخالصة مع إسرائيل، والتي لم تعتمد مبدأ الخط الأوسط.
وفي نفس الوقت، أعلنت قبرص في 16 فبراير 2007، عن بدء أول جولة لاستدراج عروض تنقيب عن الهيدروكربون في المياه القبرصية للحصول على امتيازات تنقيب ثم استغلال الغاز. وقد انتهت تلك الجولة في 16 أغسطس 2007. وقد أبدى العديد من الشركات اهتماماً وحصلوا على المعلومات المناسبة إثر ذلك.
وإثر إعلان قبرص اكتشاف الغاز في حقل أفروديت، سارع وزير البترول المصري عبد الله غراب بتأكيد أن "الاكتشافات القبرصية للغاز (حقل أفروديت في جبل إراتوستينس) لا تقع ضمن الحدود البحرية المشتركة". وقال وزير البترول إن المناطق التى تم اكتشاف الغاز فيها في قبرص، قريبة للغاية من المنطقة التى كانت تعمل فيها شركة «شل» العالمية في المياه العميقة في البحر المتوسط، والمعروفة باسم حقل «نيميد».[10]
في 15 أغسطس 2012 عقد الرئيس الإسرائيلي پـِرِس اتفاقاً مع الحكومة اليونانية لعقد قمة إسرائيلية-قبرصية-يونانية في سبتمبر 2012 لتصدير الغاز الإسرائيلي.[11]
ترسيم المنطقة الاقتصادية الخالصة
| النقطة | خط العرض (شمال) | خط الطول (شرق) |
|---|---|---|
| 1 | 00 ° 45 َ33 ° | 00 ° 05 َ 30 ° |
| 2 | 00 ° 34 َ33 ° | 30 ° 28 َ 30 ° |
| 3 | 40 ° 30 َ33 ° | 40 ° 36 َ 30 ° |
| 4 | 20 ° 21 َ33 ° | 00 ° 07 َ 31 ° |
| 5 | 30 ° 11 َ33 ° | 30 ° 36 َ 31 ° |
| 6 | 20 ° 07 َ33 ° | 20 ° 01 َ 32 ° |
| 7 | 40 ° 00 َ33 ° | 00 ° 31 َ 32 ° |
| 8 | 20 ° 53 َ32 ° | 20 ° 58 َ 32 ° |

في 19 نوفمبر 2012، كشف سوتس لياسيدس، سفير قبرص بالقاهرة، أن شركات قبرصية متخصصة في التنقيب عن الغاز الطبيعي، اكتشفت وجود كميات ضخمة من الغاز الطبيعى داخل الحدود البحرية المصرية. وأكد أن الشركات القبرصية بصدد التوصل لاتفاق مع الحكومة المصرية لاستخراج الكنز الجديد من الغاز الطبيعى الذى لم تحدد كميته حتى الآن، لكنها قادرة على جعل مصر في مقدمة الدول المصدرة للغاز الطبيعى على مستوى العالم.[13]
في 6 مارس 2013 وافقت لجنة الشئون التشريعية والدستورية بمجلس الشورى مشروع قانون لإلغاء اتفاقية ترسيم الحدود بين مصر وقبرص، والمقدم من الدكتور خالد عودة عضو مجلس الشورى. أكد عودة، أن اتفاقية ترسيم الحدود المصرية بين مصر وإسرائيل وتركيا، بها تدليس كبير ضد الشعب المصري ووافق عليها مجلس الشعب في عهد مبارك. وانتقد عودة، موقف وزارة الخارجية؛ نظرًا لأنها لم تمارس دورها في الحفاظ على حقوق مصر الخارجية. وطالب عودة بضرورة إلغاء هذه الاتفاقية لعدم مطابقتها للإحداثيات الجغرافية، وإخلالها بخط المنتصف، مشيرًا إلى أن أحد بنود الاتفاقية يوضح "بأنه في حالة عدم تسوية أي نزاع بين الطرفين من خلال القنوات الشرعية يتم اللجوء إلى التحكيم" ولم يوضح البند أى تحكيم سيتم اللجوء إليه وهو ما يؤكد التدليس على مصر. وأشار عودة إلى أنه يمتلك المستندات والصور التى توضح إخلال قبرص بالاتفاقية من خلال هجومها على الحدود المصرية في فترة الثورة المصرية عام 2011 ، حيث تم الدخول في المناطق المصرية لاكتشاف أبار غاز وغيرها.[14]
وأكد أن دخول إسرائيل الى هذه المنطقة سمح به وجود حدود بحرية بين مصر وإسرائيل، وعندما سألنا وكيل وزارة البترول عنها في لجنة الدفاع والامن القومي قال لنا:" إنها حدود افتراضية لأنه لا توجد حدود مرسمة مع إسرائيل، وأن المجلس العسكري أرسلها إليهم هكذا". وأوضح أن حقلي افروديت القبرصي ولڤياثان الإسرائيلي يقعان في حدود تتداخل في حقوق مصر الاقتصادية؛ مما يختلف مع طرق الترسيم الموجودة مما يعطي لمصر حقوق مشتركة في هذين الحقلين.
الحدود مع اليونان
مقالات مفصلة: العلاقات المصرية اليونانية- الحدود المصرية اليونانية
تمت في 2003 توقيع مذكرة تفاهم بين الحكومتين المصرية واليونانية حول ترسيم حدود المنطقتين الاقتصاديتين الخالصتين بين الدولتين.

بسبب تصاعد الاهتمام باكتشافات الغاز في شرق المتوسط، كثر الحديث عن اكتشافات حقول هائلة للغاز في حقل اولمپي للغاز و"جنوب كريت". في الانتخابات التشريعية اليونانية، يونيو 2012، برزت حركة شعبية في اليونان تطالب بسرعة إعادة ترسيم الحدود مع مصر، كسبيل للبدء في استغلال اليونان لثروات الغاز والتي ستغنيهم عن المعونات المشروطة من الاتحاد الاوروبي.[15]
الحدود مع تركيا
مقالة مفصلة: العلاقات التركية المصرية
المسافة بين مدينة فتحية التركية وبحيرة البرلس المصرية هي أقل من 300 ميل بحري، مما يستوجب ترسيما للمنطقتين الاقتصاديتين للبلدين.
تآكل الحدود البحرية لمصر 2003-2014

انظر أيضاً
المصادر
- ^ الجريدة الرسمية - العدد 3 في 18 يناير 1990
- ^ حسب اتفاقية ترسيم الحدود الموقعة بين مصر وقبرص في 7 يناير 2004، الأمم المتحدة
- ^ "مسئول سعودي يصل إلى القاهرة لبحث ترسيم الحدود البحرية". جريدة الأهرام. 2011-07-17. Retrieved 2015-07-30.
- ^ "مباحثات مصرية سعودية لترسيم الحدود البحرية بالبحر الأحمر". جريدة الأهرام. 2011-01-09. Retrieved 2012-12-26.
- ^ "مباحثات مصرية سعودية لترسيم الحدود البحرية". جريدة المصري اليوم. 2011-01-09. Retrieved 2012-12-26.
- ^ دى قايمه باسماء الجنود والضباط اللى استشهدو ايام المخلوع في حدودنا مع اسرائيل علشان نعرف ان ده مش جديد او ان الثورة السبب
- ^ http://www.shorouknews.com/ContentData.aspx?id=525776، صحيفة الشروق المصرية
- ^ مصرع مجند مصرى وإصابة 2 بوسط سيناء، بوابة الأهرام
- ^ أشرف فكري مع محفوظ البونى (2012-02-14). "وكيل وزارة البترول : مصر لم ترسم حدودها البحرية مع إسرائيل". المصري اليوم.
- ^ أشرف فكري (2012-01-01). "«البترول»: الاكتشافات القبرصية للغاز لا تقع ضمن الحدود البحرية المشتركة". المصري اليوم.
- ^ "Greece, Cyprus, Israel to talk gas". ekathimerini.com. 2012-08-15. Retrieved 2012-08-15.
- ^ حسب اتفاقية ترسيم الحدود الموقعة بين مصر وقبرص في 7 يناير 2004، الأمم المتحدة
- ^ "سفير قبرص: شركاتنا اكتشفت كميات ضخمة من الغاز داخل الحدود المصرية". جريدة اليوم السابع. 2012-11-20. Retrieved 2012-11-21.
- ^ "الشورى يُوافق على إلغاء اتفاقية ترسيم الحدود مع قبرص". جريدة الوفد. 2013-03-06. Retrieved 2013-03-06.
- ^ eliasconoph (2012-06-10). "Elections: Vote for the Greek EEZ (Exclusive Economic Zone)". يوتيوب.
وصلات خارجية
- صفحة التشريعات والمعاهدات المتعلقة بمصر في موقع الأمم المتحدة لقانون البحار
- قرار يتعلق بالمياه الإقليمية لمصر، صادر في 15 يناير 1951، ومعدل بقرار جمهوري في 17 فبراير 1958
- قرار جمهوري رقم 1051 في 1958 يتعلق بالرصيف القاري
- خط الأساس للمناطق البحرية - قرار رئيس جمهورية مصر العربية رقم 27 (1990) ويتعلق بخط الأساس للمناطق البحرية لجمهورية مصر العربية، 9 يناير 1990.
- خط الأساس للمناطق البحرية: المذكرة الخطية من جمهورية مصر العربية إلى الأمم المتحدة، 2 مايو 1990






