خلية غضروفية
| Chondrocyte | |
|---|---|
| Details | |
| المُعرفات | |
| اللاتينية | chondrocytus |
| MeSH | D019902 |
| TH | TH {{{2}}}.html HH2.00.03.5.00003 .{{{2}}}.{{{3}}} |
| FMA | 66782 |
| المصطلحات التشريحية | |
الخلية الغضروفية إنگليزية: Chondrocyte وهي الخلية الوحيدة الموجودة في الغضروف السليم. تنتج وتحافظ علي المصفوفة الغضروفية التي تتكون أساسا من الكولاجين و البروتوجليكان. على الرغم من استخدام كلمة أرومة غضروفية يكون شائع كوصف للخلية الغضروفية غير الناضجة، وهذا المصطلح غير دقيق لأن خلايا السلف الغضروفية (الخلايا الجذعية الوسيطة) يمكن أن تتفرق إلى أنواع متعددة من الخلايا بما في ذلك خلايا بانيات العظم.

الاسم اللاتيني
كلمة كوندروكايتوس (χόνδρος) يونانية الأصل وتعني (كوندرو: غضروف، كايتوس: خلية).
التمايز
من الأقل تمايزا إلى الأكثر تمايزا، السلالة الغضروفية هي:
- تشكيل مستعمرة لوحدة الخلايا الليفية
- الخلايا الجذعية الوسيطة (خلايا النخاع اللحمي)
- الخلية الغضروفية
- خلية غضروفية ضخمة
الوسيطة (منشأ الأديم المتوسط) للخلايا الجذعية تكون غير متمايزة، أي يعني إمكانيتها الي التمايز إلى انواع خلايا مولدة معروفة بخلية غضروفية عظمية (عظماني، غضروفي، خلايا سليفة العظمية، الي آخره).عندما يتم الاشاره الي العظم، أو الغضروف في هذه الحالة، فإن الخلايا الجذعية الوسيطة غير المتمايزة تفقد قدرتها علي تعدد القدرات، التجدد والحشد مع بعضها في مجموع كثيف من الخلايا المولدة للغضروف (الغضروف) في الموقع المتغضرف.
الخلايا الغضروفية تتمايز إلى ما يدعى بانيات الغضروف حيث تصنع غضروف خارج المصفوفة، تتكون الخلفية من مواد (بروتوجليكان، جليكوز امينو جليكان ذات الأسموزية المنخفضة) والألياف. بانيات الغضروف تصبح خلية غضروفية ناضجة عادة ماتكون غير نشطة، لكن ما تزال تفرز وتدرك المصفوفة معتمدة على الظروف.
BMP4,FGF2 أظهرت تجريبيا زيادة الخلية الغضروفية للتمايز.
الخلية الغضروفية تظهر تمايزا نهائيا عندما تصبح متضخمة، وهذا ما يحدث خلال التعظم داخل الغضروف. هذه المرحلة النهائية تتصف بالتغيرات المظهرية الرئيسية في الخلية.
المعرض
-
Chondrocytes in hyaline cartilage
-
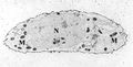
Transmission electron micrograph of a chondrocyte, stained for calcium, showing its nucleus (N) and mitochondria (M).
انظر أيضا
المصدر
مراجع
- Dominici M, Hofmann T, Horwitz E (2001). "Bone marrow mesenchymal cells: biological properties and clinical applications". J Biol Regul Homeost Agents. 15 (1): 28–37. PMID 11388742.
- Bianco P, Riminucci M, Gronthos S, Robey P (2001). "Bone marrow stromal stem cells: nature, biology, and potential applications". Stem Cells. 19 (3): 180–92. doi:10.1634/stemcells.19-3-180. PMID 11359943.